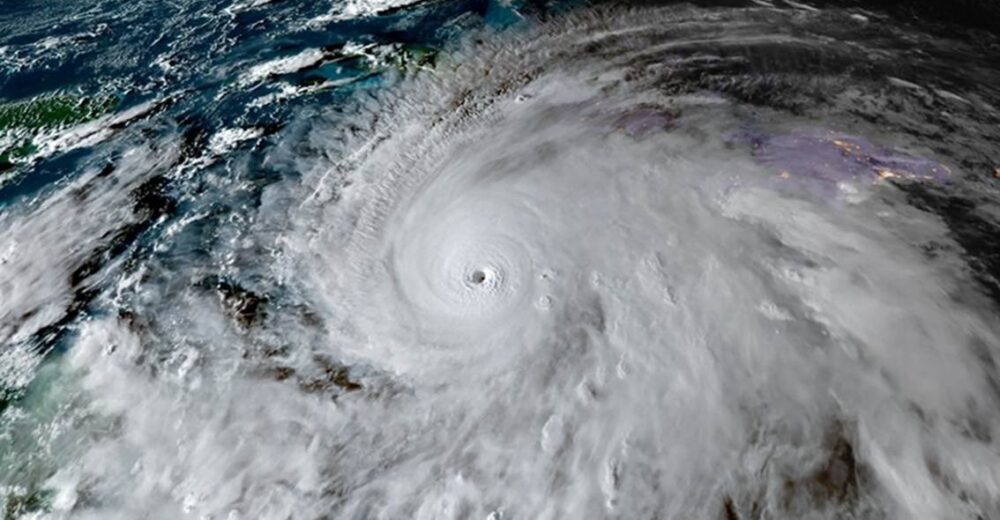
Los efectos del huracán Melissa, de categoría 5, golpean ya Jamaica con vientos catastróficos y lluvias torrenciales y se prevé que tocará tierra en esta isla las «próximas horas» manteniendo su intensidad extrema, informó este martes 28 de octubre el Centro Nacional de Huracanes (NHC) de Estados Unidos.
Melissa se aproxima a la costa occidental de Jamaica con vientos sostenidos de 280 kilómetros por hora (175 millas por hora), lluvias torrenciales y marejadas que amenazan con provocar inundaciones y daños catastróficos.
El organismo meteorológico advirtió de que el huracán Melissa tocará tierra en las próximas horas, manteniendo su intensidad extrema antes de cruzar el sureste de Cuba este miércoles 29 y llegar a las Bahamas el jueves 30, ambos países ya están preparados para los efectos devastadores del fenómeno natural.

Las estaciones meteorológicas de Kingston y Montego Bay ya registran vientos sostenidos superiores a 60 kilómetros por hora (37 millas por hora) y ráfagas de hasta 93 kilómetros por hora (58 millas por hora), mientras un avión «Cazahuracanes» de la Fuerza Aérea de Estados Unidos se dirige al área para evaluar los daños y confirmar la intensidad del fenómeno.

A las 8.00 hora local de Miami, sede del NHC, el centro del ciclón se encontraba a 90 kilómetros al sur-sureste de Negril, en el extremo occidental de la isla, desplazándose hacia el nornoreste a 11 kilómetros por hora.
El NHC mantiene alertas de huracán para toda Jamaica, las provincias orientales de Cuba -Granma, Santiago de Cuba, Guantánamo y Holguín-, así como para las Bahamas centrales y del sureste. Haití, Las Tunas (Cuba) y las islas Turcos y Caicos permanecen bajo aviso de tormenta tropical.
Las autoridades jamaicanas instaron a la población a permanecer en refugios seguros, ante la inminencia de vientos devastadores que podrían causar «fallos estructurales totales», especialmente en zonas montañosas donde las ráfagas pueden ser hasta un 30 % más fuertes.

Melissa ha generado lluvias acumuladas de entre 3,8 y 7,6 metros sobre la isla, con máximos de hasta 10 metros, lo que provocará inundaciones repentinas y deslizamientos de tierra generalizados, según el NHC.
En el este de Cuba se esperan acumulaciones de hasta 6,3 metros, con riesgo de deslizamientos e inundaciones «potencialmente catastróficas», mientras que en el sureste de Bahamas y en Turcos y Caicos se prevén entre 1,2 y 2,5 metros de lluvia entre este martes 28 y miércoles 29.
![Mundo] - Alerta de tormenta récord para Jamaica: El huracán Melissa podría convertirse en la tormenta más mortífera de Jamaica, dicen las autoridades | Times of India : r/AutoNewspaper](https://external-preview.redd.it/world-record-breaking-storm-alert-for-jamaica-hurricane-v0-KCW5uUn2Q4LgLuixVIAgIMJ5cKN-cCvE4RVHDsdbLDQ.jpeg?width=640&crop=smart&auto=webp&s=30e82c617fc398d94579b350abdaf913e1486be2)
El ciclón también provocará una marejada ciclónica de entre 2,7 metros y 4 metros sobre el nivel del suelo en la costa sur de Jamaica, acompañada de olas grandes y destructivas, y de entre 2,10 y 3,35 metros en el sureste de Cuba.
El NHC advirtió además de que el fuerte oleaje generado por Melissa afectará durante varios días a Haití, Jamaica, Cuba, las Islas Caimán, las Bahamas, Turcos y Caicos y Bermudas, generando condiciones peligrosas en el mar y corrientes de resaca.

NAM/Agencias
Recuerda seguirnos en nuestra NUEVA CUENTA INSTAGRAM , TIKTOK Y WHATSAPP
